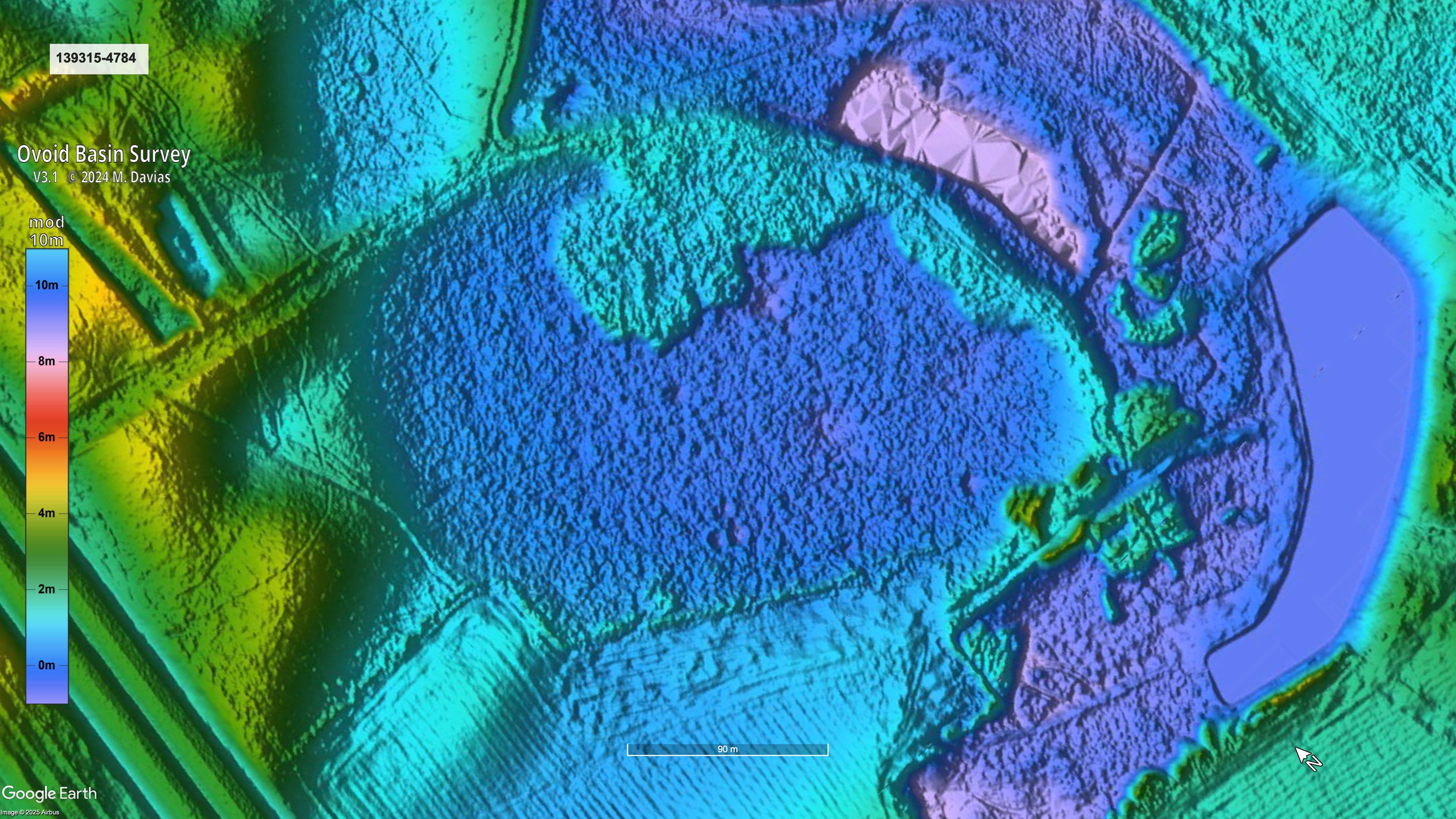
139315-4784 21.03.2019 Filed in: bayCarolina |Q19 |e.72 |300 |139315 View the Planform in Google Earth with this kmz file. Planform on Planform off Read More... Tags: cohorts-139315-4885,portal,quarry